
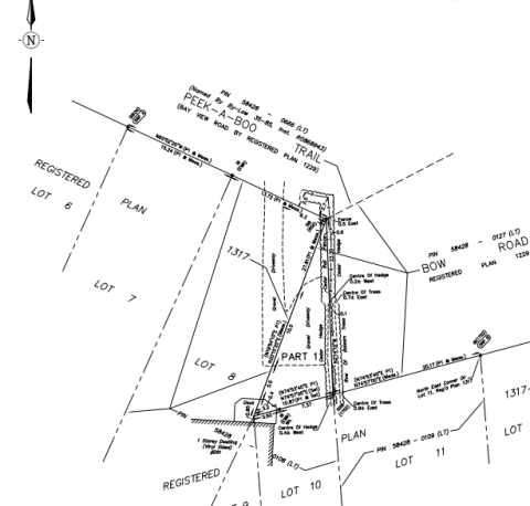
TAKE NOTICE that The Corporation of the Township of Tiny intends to pass a By-Law to stop up and close, declare surplus and sell Part of Bow Road, Registered Plan 1229, designated as Part 1 on Reference Plan 51R-43646, Township of Tiny, County of Simcoe.
AND FURTHER TAKE NOTICE that The Corporation of the Township of Tiny proposes, by the aforesaid by-law, to authorize the sale and conveyance of this property to the abutting property owner in accordance with the provisions of the Municipal Act, 2001, S.O. 2001 c.25 and the Township’s Sale of Land Policy that establishes a procedure governing the sale of land.
AND FURTHER TAKE NOTICE that a proposed by-law will come before the Council of The Corporation of the Township of Tiny at a future date regarding this matter. At this time, the Township wishes to hear from any person who claims that their land will be prejudicially affected by the proposed sale of land. Written submissions can be sent by email to Sue Walton, Director of Legislative Services/Clerk at swalton@tiny.ca, or by mail to the Township of Tiny, 130 Balm Beach Road West, Tiny, ON, L0L 2J0, Attention Sue Walton, by September 19, 2022.