
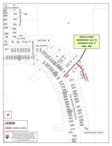
TAKE NOTICE that Brookside Drive and Trumble Lane will be temporarily closed on Wednesday July 16, 2025 and Thursday July 17, 2025 from 8:00 a.m. to 4:00 p.m. to allow for construction to install fiber.
The contractor will maintain access to private property during construction. However, there may be short disruptions to facilitate the construction work. Drivers are asked to exercise caution in the area and obey traffic control personnel and signage.
For more information:
Grant Crawford
Swoop Fiber
705-806-7976
Customer Service: support@swoopfiber.com
Township of Tiny Public Works Department
705-526-4204