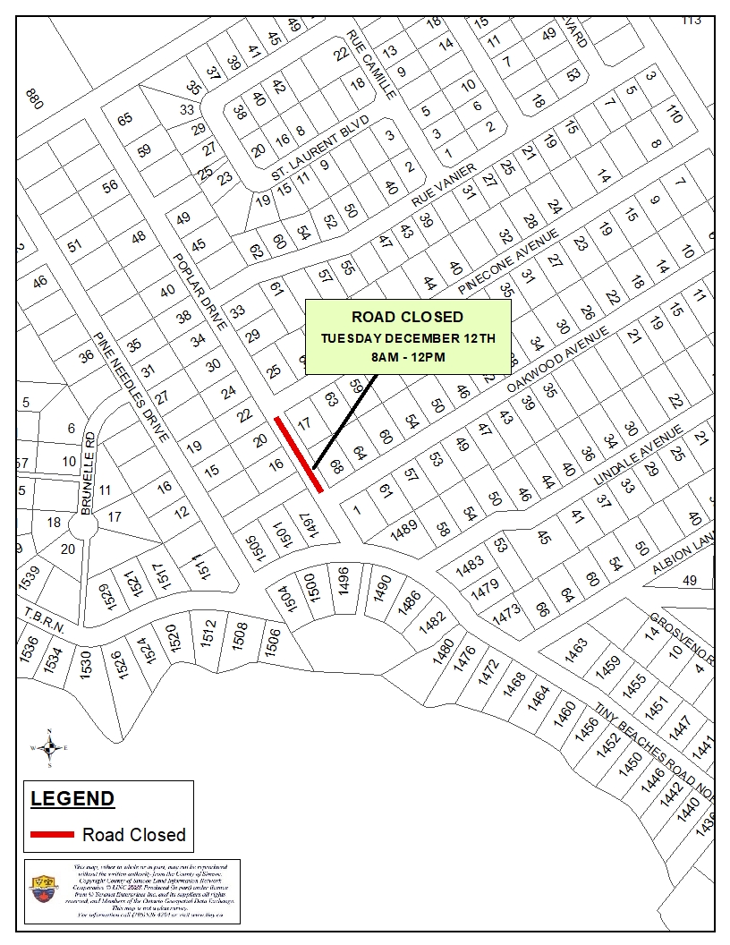
November 29, 2023 - 3:48pmTypePublic NoticesFile11 29 2023 - Public Notice - Temporary Road Closure - Portion of Poplar Drive.pdfTAKE NOTICE that Poplar Drive will be temporarily closed between Oakwood Avenue and Pinecone Avenue for tree removal works. The road will be closed from 8:00 a.m. to approximately 12:00 p.m. on Tuesday, December 12, 2023.Key Map:Image